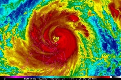
Super Typhoon Fung-wong slammed into the Philippines' eastern seaboard on Sunday, the national weather service said, after killing at least two people and forcing more than a million to evacuate.
The storm, with a radius spanning nearly the whole of the Philippines, made landfall in Aurora province on the main island of Luzon at 9:10 pm (1310 GMT), the state forecaster reported.
Fung-wong is expected to bring wind and heavy rain to swathes of the archipelago nation, which just last week saw more than 220 people killed by Typhoon Kalmaegi.
Earlier Sunday, one of the already storm-stricken provinces in the central Philippines recorded the first known death from the new typhoon.
Rescuer Juniel Tagarino in Catbalogan City told AFP the body of a 64-year-old woman attempting to evacuate had been pulled out from under debris and fallen trees.
"The wind was so strong and the rain was heavy... According to her family members, she might have forgotten something and went back inside her house," Tagarino said.
The civil defence office later confirmed a second death, a person who drowned in a flash flood on Catanduanes island.
In Aurora, where the eye of the storm made landfall, government worker Aries Ora was boarding up his home in Dipaculao town with steel sheets and wooden boards.
"What really scares us is that the expected landfall is at night," the 34-year-old told AFP earlier on Sunday.
"Unlike previous typhoons, we won't be able to clearly see the movement of the wind and what's happening around us."
Further north, in Cagayan province, people sheltering in an evacuation centre told AFP that fear of flooding had convinced them to leave their homes.
"We often suffer flooding in our home, so when we were told to evacuate, we evacuated, because we would be trapped," said Loretta Salquina.
"The typhoon might blow away our roofs... We're safer here."
Schools and government offices have been ordered closed on Monday across the main island of Luzon, including the capital Manila, where nearly 300 flights have been cancelled.
- 'The ground was shaking' -
Catanduanes, a small island that the state weather service said could take a "direct hit", was already being lashed by wind and rain early Sunday, with storm surges sending waves hurtling over streets and floodwaters rising in some areas.
"The waves started roaring around 7:00 am. When the waves hit the seawall, it felt like the ground was shaking," Edson Casarino, 33, a resident of Catanduanes' Virac town, told AFP.
Video verified by AFP showed a church in the town surrounded by floodwaters that reached halfway up its entrance.
Flooding was also reported in southern Luzon's Bicol region, according to civil defence deputy administrator Rafaelito Alejandro, who later confirmed the preemptive evacuation of nearly 1.2 million people nationwide.
In Guinobatan, a town of about 80,000 in the region's Albay province, verified video showed streets transformed into a raging torrent of floodwaters.
Typhoon Fung-wong is expected to bring at least 200 millimetres (eight inches) of rain to many parts of the country, according to government meteorologists.
Scientists warn that storms are becoming more powerful due to human-driven climate change. Warmer oceans allow typhoons to strengthen rapidly, and a warmer atmosphere holds more moisture, meaning heavier rainfall.
- 'Strapping down the roofs' -
On Saturday, Catanduanes rushed to prepare for the onslaught, with residents tying down their houses with ropes and putting weights on their roofs.
"They decided to do our tradition of strapping down the roofs with big ropes and anchoring them on the ground, so they won't be blown away by the wind," provincial rescue official Roberto Monterola told AFP.
Only days earlier, Typhoon Kalmaegi sent floodwaters rushing through the towns and cities of Cebu and Negros islands, sweeping away cars, riverside shanties and massive shipping containers.
The typhoon, the deadliest of 2025 according to disaster database EM-DAT, killed at least 224 people and left 109 missing, according to government figures.
Search and rescue efforts in Cebu were suspended on Saturday due to safety concerns over the approaching super typhoon.
pam-cwl/ami








